Informes anteriores
SALUDOS DEL SIBER
PRECIPITACIÓN ACUMULADA DEL 12 AL 18 DE DICIEMBRE DEL 2012
La provincia de ER está siendo literalmente acosada por las precipitaciones. Si bien en las últimas horas lentamente las condiciones del tiempo han ido mejorando y las lluvias han cesado, el territorio entrerriano ha sido el epicentro de un nivel de actividad muy importante, el cual se tradujo en lluvias muy destacadas y de cobertura generalizada.
En el mapa se representan las lluvias que se produjeron en algunos sectores durante el miércoles 12 y las acumuladas entre el mediodía del domingo y la mañana del miércoles, sin considerar las precipitaciones que sobrevinieron luego.
Luego de las últimas lluvias de la semana pasada rápidamente el aire húmedo se reposicionó sobre todo el centro este de la región pampeana. Si bien se esperaba un aumento de la actividad hacia el comienzo de esta semana, ya desde el domingo comenzó a formarse una zona de baja presión compartiendo la franja centro oeste de ER y las vecindades de SF. Debido al alto contenido de humedad de la atmósfera, se configuro un escenario muy propicio para el rápido desarrollo de celdas de tormenta. Las mismas fueron acompañadas por condiciones de tiempo severo que en muchos casos se reflejaron en voladuras de techos y caída de árboles añosos. Las corrientes descendentes de estas celdas de tormenta pueden alcanzar y en ocasiones superar los 100 km/h, lo cual definen condiciones de alto riesgo. Este fue el comienzo de un período que fue alternando lluvias con mejoramientos temporarios, observándose máximos pluviales muy destacados que por sectores alcanzan los 200 mm. Estas sumas se lograron sin considerar las lluvias del miércoles, donde al menos acumularon otros 40 milímetros. La provincia está sobrada de agua, sin embargo este no parece ser el final pluvial de diciembre.
ESTADO DE LAS RESERVAS HÍDRICAS AL 19/12/2012
No hacen falta argumentos sofisticados para justificar el resultado que arroja el cálculo del balance hídrico, luego de repasar el resumen pluvial de la última semana. Queda claro que aún sin contar las lluvias de la jornada del miércoles, la mayor parte de la provincia presentaba excesos hídricos. Algunos sectores de Victoria o del norte de Feliciano seguramente se han incorporado también a esta condición con las últimas precipitaciones.
Considerando la topografía y las redes naturales de drenaje con que cuenta la provincia, lo más difícil para esta situación es la recuperación de la red de caminos rurales. Es posible que en muchos casos lotes que se vayan oreando y queden aptos para el laboreo, sean de difícil acceso para la maquinaria, este es un problema que ha venido siendo recurrente en esta campaña y una de las causas del atraso en la siembra de soja.
En zonas vecinas de la provincia de SF, los sistemas precipitantes han tenido comportamientos similares, pero a diferencia de ER, los suelos mas llanos facilitan los anegamientos de escala más vasta y con mayor dificultad para el escurrimiento.
Aún cuando restan más de diez días para finalizar el mes en la mayor parte de la provincia, los acumulados pluviales superan largamente las marcas estadísticas. La provincia no se ha salteado ninguno de los sistemas precipitantes de gran escala que se han concretado en la región pampeana, ya sean sistemas de baja presión generados en el centro del litoral o frentes que avanzan desde el sudoeste, siempre han encontrado en ER masas de aire con alta disponibilidad de humedad para favorecer el desarrollo de sistemas precipitantes. Dado que se espera una recirculación de humedad en la Mesopotamia, no se descarta que las lluvias reaparezcan durante el lunes.

DATOS ESTADÍSTICOS DE LAS DOS ÚLTIMAS CAMPAÑAS AGRÍCOLAS EN ENTRE RÍOS
El siguiente cuadro compara los datos estadísticos finales de trigo, lino, girasol, arroz, soja, sorgo y maíz de las dos últimas campañas agrícolas en Entre Ríos.

INFORME ESTADO SANITARIO DE LA SOJA Y EL MAÍZ - elaborado po lr Ing. Agr. Norma Formento - Fitopatologa del INTA Paraná
Los cultivos de soja monitoreados entre V4 y R1, en la semana del 11 al 14 de diciembre, en los dptos. Nogoyá, Diamante y Victoria presentaron niveles bajos de enfermedades foliares, siendo la más prevalente mancha marrón por Septoria glycines.
Con mucha menor incidencia en plantas se observó tizón bacteriano y tizón foliar por Cercospora kikuchii. La mancha por Phyllosticta se la detecta en hojas inferiores y podría en sus estados iniciales confundirse con mancha ojo de rana (MOR), en estados avanzados produce un tizón en los márgenes de las hojas.
La podredumbre de raíces por Phytophthora se registró en plantas aisladas en lotes con secuencia de soja en los 2 últimos años.
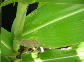
En lotes de maíz, entre V8 y R4, la incidencia de la roya común es alta, pero con severidades muy bajas en los deptos. Nogoyá, Diamante y Victoria. El tizón foliar común fue hallado con severidad alta en un lote de Victoria, sin embargo ataques muy severos y ya por fuera del umbral de acción se evaluaron en los Dptos La Paz, Feliciano y Concordia.
Como consideración final el aspecto sanitario de la soja se mantiene estable pero es muy importante poder continuar con los monitoreos más frecuentes en forma inmediata en la medida en que se pueda acceder a los lotes. En maíces de primera, por segunda campaña consecutiva en regiones con temperaturas más altas, el tizón foliar por Exserohilum turcicum asociado a roya común (Fotografía 1) alcanzó niveles de relevancia, a diferencia de los observado en el centro oeste y sur de Entre Ríos. Cuando las hojas del maíz resultan muy afectadas por enfermedades foliares, y bajo las condiciones actuales, muy conductivas para que sean más severas, produce removilización de fotoasimilados del tallo, lo que lo debilita y lo deja vulnerable al ataque de patógenos y posterior vuelco.

SIEMBRA DE MAÍZ TARDÍO Y DE 2DA
En base a consultas efectuadas a la Red de Colaboradores se ha determinado una intención de siembra de maíz tardío y/o de 2da que se posiciona alrededor de las 40.000 ha, de las cuales se han concretado cerca de 9.000 ha, que representan el 23% de lo planificado. En el Mapa 1 se presentan los avances correspondientes por zonas.

SIEMBRA DE SORGO TARDÍO Y DE 2DA
La intención de siembra de sorgo tardíos y/o de 2da es mucho más baja que la estimada para maíz, situándose en 8.000 ha aproximadamente; al respecto los Colaboradores informan que por las demoras experimentadas en la implantación, en algunos casos se ha tomado la decisión de reemplazar al cereal por soja.
El avance a nivel provincial se sitúa en el 30%, lo cual equivale a 2.400 ha, el Mapa 2 presenta el progreso en las cuatro zonas en que se ha dividido a la provincia.

TORMENTA Y GRANIZO
El domingo 16 de diciembre será recordado como «el día de la gran tormenta», la cual se caracterizó por fuertes ráfagas de viento que superaron los 100 km/ha y que comenzó a ingresar en el territorio entrerriano alrededor del medio día.
La velocidad del viento fue lo suficientemente elevada como para derribar un gran número de árboles y producir voladuras de techos.
Los Colaboradores reportan que las ráfagas de viento han producido el vuelco de lotes de maíz, tal como puede apreciarse en al Fotografía 1.
Por otra parte, se registró la caída de granizo en varias localidades: Seguí, Hasenkamp, Hernandarias, Don Cristobal, 1ero de Mayo, Lucas Norte, Lucas Sur, Santa Elena y Raíces.
Una de las zonas más afectadas se encuentra en el centro oeste del departamento La Paz, cercano a la localidad de Yeso, donde la piedra ha producido la pérdida de lotes de soja y maíz principalemente.
Todavía no se ha podido realizar una estimación certera las hectáreas perdidas por el fenómeno, ya que las reiteradas lluvias han imposiblitado en muchos casos el ingreso de los Ingenieros a los lotes.

La Fotografía 2 muestra algunos de los daños ocasionados por el granizo. La imagen muestra el efecto de defoliación producto del impacto de las piedras sobre un cultivo de maíz, lo cual si bien no generará una pérdida total del sembrado si tendrá un efecto negativo en el potencial de rendimiento.

INTENSIDAD DE LA TORMENTA
En base a los datos que brina la Red de Centrales Meteorológicas Automáticas de la Bolsa de Cereales de Entre Ríos se ha elaborado el Mapa 3 que refleja en qué sector y cuál ha sido la máxima intensidad de precipitación durante la tormenta del pasado domingo 16 de diciembre. Tal como explica la leyenda, los valores de intensidad de lluvia están expresados en milímetros cada 10 minutos.
El área donde se registró la mayor intensidad de lluvia abarcaró los departamentos: Paraná, norte de Diamante y Nogoyá, sur de La Paz y Federal, Villaguay, centro norte de San Salvador y Concordia; lo cual posiblemente indique la dirección de la tormenta que fue del sector suroeste al sector noreste.
Cabe mencionar que en las Localidades de Seguí, Monjones Sur y Crucecita 7ma se registraron intensidades que promediaron los 30 mm/10 minutos; experasado en otras palabras esto implica que en tan solo 10 minutos estas localidades recibieron aproximadamente el 30% de la lluvia normal esperada para diciembre que se sitúa alrededor de los 100 mm.

CARACTERIZACIÓN CLIMÁTICA SEMANA DEL 13 AL 19 DE DICIEMBRE DE 2012



A pocos días del inicio del verano las temperaturas durante la última semana han presentado un leve retroceso respecto de las del período previo. Los registros máximos, en la totalidad de los puntos de medición, han disminuido casi tres grados ubicándose entre los 32ºC y 34ºC, El valor mal alto fue de 35,8ºC y se midió en la localidad de Montoya. La disminución no alcanzó a las temperaturas mínimas que se mantuvieron estables y muy similares a las registradas anteriormente alrededor de los 14ºC. Esta amplitud térmica dio como resultado una temperatura media semanal, muy acorde a la época, de aproximadamente 23ºC.



Como ha sucedido durante las semanas anteriores las precipitaciones estuvieron muy presentes en los últimos siete días. Al igual que todo el centro del país Entre Ríos se vio afectada en forma generalizada por fuertes lluvias y tormentas que, más que por sus altos acumulados, se destacaron por su intensidad que en algunos casos llegó a ser superior a los 30 mm acumulados en 10 minutos. Estas condiciones de continuada inestabilidad disminuyeron fuertemente la Tasa de Radiación Solar media, incrementando al mismo tiempo la Humedad Relativa ambiente. Contrariamente a lo que podría esperarse, si bien las Horas de Mojado Foliar acumuladas tuvieron un incremento respecto de la semana previa, el mismo no guardó relación con la intensidad y distribución de las precipitaciones ocurridas durante este período.